Miercoles, 29 de abril de 2026
Lluvias y vientos fuertes sacuden el Norte
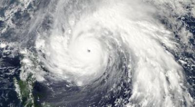
El tifón Megi tocará tierra en Filipinas hoy

Megi, el décimo pero también el más poderoso tifón de los que ha afectado a Filipinas este año, ha perdido algo de intensidad y ha variado su curso de madrugada, tomando rumbo oeste-suroeste y retrasando su esperada llegada a Luzon (norte), la principal isla del país, informó la agencia estatal de meteorología en su último informe.
A las 6.00 horas de la mañana (medianoche en la España peninsular), el tifón se encontraba a 190 kilómetros al oeste de la provincia de Cagayan y se desplazaba a una velocidad de 19 kilómetros por hora. En la vecina provincia de Apayao los fuertes vientos y precipitaciones han provocado avalanchas de tierra que mantienen bloqueadas varias carreteras.
Megi es un super tifón categoría 5 --la máxima en la escala-- con vientos de más de 250 kilómetros por hora que se mantendrán a su paso por el norte de Luzon, según el Tropical Storm Risk (http://www.tropicalstormrisk.com).
Los servicios meteorológicos del Gobierno de Filipinas dice que el centro del tifón, bautizado Juan en el país, tiene vientos de 225 kilómetros y rachas de hasta 260 kilómetros.
El gobernador de la provincia de Cagayan señaló a Reuters el domingo que el tifón podría dañar o destruir más del 60 por ciento de la cosecha de arroz. El valle de Cagayan produce una tercera parte del arroz cultivado en el país.
El año pasado, el país perdió 1,3 millones de toneladas de arroz por el paso de tres fuertes tifones entre septiembre y octubre.
El director de la agencia estatal de desastres, Benito Ramos, dijo en una entrevista radiofónica que más de 1.100 personas han sido evacuadas en Cagayan. Las autoridades han alertado de que se producirán fuertes marejadas y de que existe el riesgo a que se produzcan inundaciones, tormentas y deslizamientos de tierra.
Columnistas
La eutanasia de Noelia Castillo
Y así, en el caso concreto de Noelia, ¿Qué protección encontró en la Administración Pública que, tras privar de la patria potestad a sus padres, ¿la internaron en un centro de acogida donde fue violada? ¿Qué actuación ha habido de los responsables del mismo?
Por José Luis LafuenteLeer columna
Ballenas, bacterias y la emergencia de la vida
Una orca nadaba con un tiburón blanco juvenil con una herida visible en aguas de Baja California, México.Credit...Marco Villegas
Por Francisco Javier Garcia AlonsoLeer columna
El aborto es la mayor causa de muerte con gran diferencia: Llevamos más de 25 millones de abortos este año
Hay cosas que suceden todos los días y, por ello, no son noticia, pero deberían serlo. Hoy se acabará con la vida de unos doscientos mil niños no nacidos, con el beneplácito de gobiernos, parlamentos, médicos e incluso de sus padres. https://www.infocatolica.com/?t=noticia&cod=52974
Por Teodoreto de Samos Leer columna
Homo Sapiens, Neandertales y Denisovanos
Los Homo sapiens, Neandertales y Denisovanos son tres grupos humanos que coexistieron en distintos momentos del pasado y que jugaron un papel clave en la evolución de nuestra especie.
Por Francisco Javier Garcia AlonsoLeer columna
León XIV oficia Misa ad orientem en la capilla de los Carabineros
El Papa León XIV celebra la misa de spaldas al Pueblo de Dios, rito tridentino
Por Teodoreto de Samos Leer columna
El primer boomerang no es de Australia sino de Polonia
Comenzamos una serie sobre curiosidades del mundo de la ciencia
Por Francisco Javier Garcia AlonsoLeer columna
Noticias y comentarios
Reconoce que ha proclamado y custodiado el Evangelio. León XIV felicita al cardenal Burke por sus 50 años de sacerdocio
Por Teodoreto de Samos Leer columna
Noticias y comentarios en la Iglesia.
Comenzamos una columna semanal sobre noticias y comentarios sobre la iglesia
Por Teodoreto de Samos Leer columna
¿Milei o Vance?
Vance es un peso pesado intelectual, un político-filósofo. Entre sus influencias están la doctrina social de la Iglesia, el pensamiento de René Girard y las ideas de teóricos postliberales como Sohrab Ahmari o Patrick Deneen Publicado en el Debate
Por Francisco J Contreras Leer columna
Algunos problemas en el horizonte de la política verde actual
La subida global de temperaturas y la conveniencia de ir sustituyendo las fuentes de energía tradicionales (gas, petróleo y carbón) por otras más sostenibles es un tema de permanente actualidad tanto en los medios de comunicación como en la política. Frente a la versión aplastantemente mayoritaria del problema y sus soluciones, el ciudadano atento y bien informando acaba descubriendo algunos problemas a los que no se les presta demasiada atención. En este artículo se presentarán algunos de ellos
Por Francisco Javier Garcia AlonsoLeer columna
El tráfico con inmigrantes y el avance de las nuevas derechas europeas
La propuesta que más influyó para atraer el voto de muchos europeos hacia las nuevas derechas es el rechazo a las políticas que facilitan la inmigración incontrolada, pues están convencidos de que aumenta la delincuencia y favorece la islamización de Europa
Por Angel Jiménez LacaveLeer columna