Miercoles, 29 de abril de 2026
Podría convertirse en huracán
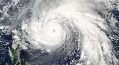
La tormenta Richard amenaza Centroamérica

A las 23.00 hora peninsular española, Richard se ubicaba a 375 kilómetros al sur-suroeste de Gran Caimán, en las islas Caimán, y a 320 kilómetros al noreste del cabo Gracias a Dios, en la frontera entre Nicaragua y Honduras.
La tormenta, que registraba vientos máximos sostenidos de 65 kilómetros por hora, se movía en dirección suroeste, pero las condiciones climáticas probablemente le harán cambiar de rumbo hacia el oeste en los próximos días, llevándola hacia América Central y la península de Yucatán, en México, indicó el CNH.
El Gobierno de Honduras emitió una advertencia de tormenta tropical este jueves para la costa norte del país, desde la frontera con Nicaragua, en el oeste, hasta el departamento de Limón. La advertencia significa que podrían darse condiciones de tormenta tropical en la zona durante las próximas 48 horas.
El CNH pronosticó que Richard inicialmente provocará fuertes lluvias sobre Jamaica, donde existe la posibilidad de que se produzcan peligrosas inundaciones y deslizamientos de tierra. Posteriormente podría trasladarse a Belice y más tarde a la península de Yucatán.
Se trata de la tormenta número 17 de la actual temporada de huracanes del Atlántico. Hasta el momento se han registrado nueve huracanes desde el inicio de la temporada, el pasado mes de junio, cinco de ellos de gran magnitud.
En su pronóstico de seguimiento de cinco días, el CNH estimó que Richard podría adentrarse en el golfo de México el martes, después de atravesar Yucatán, pudiendo afectar las
Columnistas
La eutanasia de Noelia Castillo
Y así, en el caso concreto de Noelia, ¿Qué protección encontró en la Administración Pública que, tras privar de la patria potestad a sus padres, ¿la internaron en un centro de acogida donde fue violada? ¿Qué actuación ha habido de los responsables del mismo?
Por José Luis LafuenteLeer columna
Ballenas, bacterias y la emergencia de la vida
Una orca nadaba con un tiburón blanco juvenil con una herida visible en aguas de Baja California, México.Credit...Marco Villegas
Por Francisco Javier Garcia AlonsoLeer columna
El aborto es la mayor causa de muerte con gran diferencia: Llevamos más de 25 millones de abortos este año
Hay cosas que suceden todos los días y, por ello, no son noticia, pero deberían serlo. Hoy se acabará con la vida de unos doscientos mil niños no nacidos, con el beneplácito de gobiernos, parlamentos, médicos e incluso de sus padres. https://www.infocatolica.com/?t=noticia&cod=52974
Por Teodoreto de Samos Leer columna
Homo Sapiens, Neandertales y Denisovanos
Los Homo sapiens, Neandertales y Denisovanos son tres grupos humanos que coexistieron en distintos momentos del pasado y que jugaron un papel clave en la evolución de nuestra especie.
Por Francisco Javier Garcia AlonsoLeer columna
León XIV oficia Misa ad orientem en la capilla de los Carabineros
El Papa León XIV celebra la misa de spaldas al Pueblo de Dios, rito tridentino
Por Teodoreto de Samos Leer columna
El primer boomerang no es de Australia sino de Polonia
Comenzamos una serie sobre curiosidades del mundo de la ciencia
Por Francisco Javier Garcia AlonsoLeer columna
Noticias y comentarios
Reconoce que ha proclamado y custodiado el Evangelio. León XIV felicita al cardenal Burke por sus 50 años de sacerdocio
Por Teodoreto de Samos Leer columna
Noticias y comentarios en la Iglesia.
Comenzamos una columna semanal sobre noticias y comentarios sobre la iglesia
Por Teodoreto de Samos Leer columna
¿Milei o Vance?
Vance es un peso pesado intelectual, un político-filósofo. Entre sus influencias están la doctrina social de la Iglesia, el pensamiento de René Girard y las ideas de teóricos postliberales como Sohrab Ahmari o Patrick Deneen Publicado en el Debate
Por Francisco J Contreras Leer columna
Algunos problemas en el horizonte de la política verde actual
La subida global de temperaturas y la conveniencia de ir sustituyendo las fuentes de energía tradicionales (gas, petróleo y carbón) por otras más sostenibles es un tema de permanente actualidad tanto en los medios de comunicación como en la política. Frente a la versión aplastantemente mayoritaria del problema y sus soluciones, el ciudadano atento y bien informando acaba descubriendo algunos problemas a los que no se les presta demasiada atención. En este artículo se presentarán algunos de ellos
Por Francisco Javier Garcia AlonsoLeer columna
El tráfico con inmigrantes y el avance de las nuevas derechas europeas
La propuesta que más influyó para atraer el voto de muchos europeos hacia las nuevas derechas es el rechazo a las políticas que facilitan la inmigración incontrolada, pues están convencidos de que aumenta la delincuencia y favorece la islamización de Europa
Por Angel Jiménez LacaveLeer columna