Jueves, 30 de abril de 2026
Se dirige al interior del estado
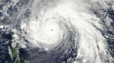
Yasi arrasa el norte de Queensland sin causar daños personales

Hacia la medianoche (hora local) el ciclón de categoría cinco --la máxima-- ingresaba en la costa a través de la localidad de Mission Beach, adentrándose unos 320 kilómetros en tierra, con intensas ráfagas de vientos que han provocado olas de hasta nueve metros de altura en las playas de la ciudad de Townsville.
El director de los servicios de emergencia de Queensland, Neil Roberts, ha informado de la existencia de 60 viviendas con daños estructurales graves, otras 100 con medios y unas 50 con leves. "Creo que esto da una idea de las consecuencias de los significativos daños en propiedades causados por el ciclón", dijo.
No obstante, Robert advirtió de que son cifras preliminares. "Este es el balance que aporta la vigilancia aérea, pero la gente está haciendo sus comprobaciones sobre el terreno, propiedad por propiedad", indicó el funcionario, en declaraciones recogidas por el diario The Australian.
Los equipos de emergencia han registrado unas 1.500 llamadas a lo largo de toda la noche, no obstante se espera que aumenten cuando la población compruebe los daños de sus viviendas, ya que se calcula que unas 177.000 se han quedado sin suministro eléctrico y un número indeterminado, aunque también elevado, carece de agua potable.
"Nos enfrentamos a un daño muy extenso y devastador en algunas partes del norte y del extremo norte. Seguimos viendo una situación muy peligrosa en algunas partes de la región", indicó la primera ministra de Queensland, Anna Blight.
La premier estatal y la primera ministra australiana, Julia Gillard, han acordado declarar zona de desastre el área afectada, lo que permitirá a los damnificados reclamar indemnizaciones especiales, que serán las mismas que las previstas para los afectados por las inundaciones.
Columnistas
La eutanasia de Noelia Castillo
Y así, en el caso concreto de Noelia, ¿Qué protección encontró en la Administración Pública que, tras privar de la patria potestad a sus padres, ¿la internaron en un centro de acogida donde fue violada? ¿Qué actuación ha habido de los responsables del mismo?
Por José Luis LafuenteLeer columna
Ballenas, bacterias y la emergencia de la vida
Una orca nadaba con un tiburón blanco juvenil con una herida visible en aguas de Baja California, México.Credit...Marco Villegas
Por Francisco Javier Garcia AlonsoLeer columna
El aborto es la mayor causa de muerte con gran diferencia: Llevamos más de 25 millones de abortos este año
Hay cosas que suceden todos los días y, por ello, no son noticia, pero deberían serlo. Hoy se acabará con la vida de unos doscientos mil niños no nacidos, con el beneplácito de gobiernos, parlamentos, médicos e incluso de sus padres. https://www.infocatolica.com/?t=noticia&cod=52974
Por Teodoreto de Samos Leer columna
Homo Sapiens, Neandertales y Denisovanos
Los Homo sapiens, Neandertales y Denisovanos son tres grupos humanos que coexistieron en distintos momentos del pasado y que jugaron un papel clave en la evolución de nuestra especie.
Por Francisco Javier Garcia AlonsoLeer columna
León XIV oficia Misa ad orientem en la capilla de los Carabineros
El Papa León XIV celebra la misa de spaldas al Pueblo de Dios, rito tridentino
Por Teodoreto de Samos Leer columna
El primer boomerang no es de Australia sino de Polonia
Comenzamos una serie sobre curiosidades del mundo de la ciencia
Por Francisco Javier Garcia AlonsoLeer columna
Noticias y comentarios
Reconoce que ha proclamado y custodiado el Evangelio. León XIV felicita al cardenal Burke por sus 50 años de sacerdocio
Por Teodoreto de Samos Leer columna
Noticias y comentarios en la Iglesia.
Comenzamos una columna semanal sobre noticias y comentarios sobre la iglesia
Por Teodoreto de Samos Leer columna
¿Milei o Vance?
Vance es un peso pesado intelectual, un político-filósofo. Entre sus influencias están la doctrina social de la Iglesia, el pensamiento de René Girard y las ideas de teóricos postliberales como Sohrab Ahmari o Patrick Deneen Publicado en el Debate
Por Francisco J Contreras Leer columna
Algunos problemas en el horizonte de la política verde actual
La subida global de temperaturas y la conveniencia de ir sustituyendo las fuentes de energía tradicionales (gas, petróleo y carbón) por otras más sostenibles es un tema de permanente actualidad tanto en los medios de comunicación como en la política. Frente a la versión aplastantemente mayoritaria del problema y sus soluciones, el ciudadano atento y bien informando acaba descubriendo algunos problemas a los que no se les presta demasiada atención. En este artículo se presentarán algunos de ellos
Por Francisco Javier Garcia AlonsoLeer columna
El tráfico con inmigrantes y el avance de las nuevas derechas europeas
La propuesta que más influyó para atraer el voto de muchos europeos hacia las nuevas derechas es el rechazo a las políticas que facilitan la inmigración incontrolada, pues están convencidos de que aumenta la delincuencia y favorece la islamización de Europa
Por Angel Jiménez LacaveLeer columna